Et oui comme promis on vous fait un message spécial sur la grande barrière de corail.
Donc comme dit dans le précédent message, on part à 07h00 du mat (dur dur) direction le port pour embarquement sur un ferry qui nous amènera sur un autre bateau qui nous attends déjà au mouillage sur la grande barrière.
 |
| Départ de Cairns |
Après 1 petite heure de traversée bien mouvementée (Rémi a faillit se faire vomir dessus par une hollandaise à côté de lui), nous arrivons sur la barrière et à notre bateau.
 |
| Le récif |
 |
| Patience c'est plus impressionnant vu de dessous |
 |
| Et voici notre bateau pour 3 jours, nommé le Kangaroo Explorer ! |
On pose les affaires dans notre cabine, une pour Daphné qu'elle partage avec une autre dame et une perso pour Rémi et Myriam.
 |
| Cabine de Myriam et Rémi avec vue sur le récif s'il vous plait ! |
Petit briefing de sécurité et sans plus attendre nous nous équipons pour notre première plongée. Celle ci se fait avec un guide instructeur, les prochaines on plonge sans guide juste par binôme. Nous n'avions pas le caisson pour prendre des photos pour la première plongée, mais nous l'avons pour les suivantes (le photographe sur le bateau nous en trouve un qui va bien pour l'appareil de Daphné), donc pour votre plus grand bonheur on peut vous faire partager ce que a vu sous l'eau, c'est un peu comme si vous plongiez vous aussi sur la great barrier reef !
Donc on se ré-équipe pour notre seconde plongée, livrés à nous même cette fois !
Et on replonge dans la grande bleue !
 |
| Daphné (palmes bleues) |
 |
| Myriam (palmes jaunes) |
 |
| Première rencontre dans la pénombre... |
 |
| Concombre de mer avec des petits piquants mous |
 |
| Famille de "Banded Humbug" (Demoiselle à bandes noires) |
 |
| Combien d'air te reste il ? |
 |
| Soft Coral |
 |
| Two Striped Damselfish (Demoiselle réticulée) |
 |
| Black Surgeonfish (poisson chirurgien noir) |
 |
| Another Two Striped Damselfish (Demoiselle réticulée) |
 |
| Le gros poisson rouge est un Red Bass |
 |
| Retour à la surface ! |
Cette croisière nous permet aussi de passer notre niveau 2 international de plongée (Advanced Open Water), ce qui implique 2 plongées de nuit !
Nous nous préparons donc pour notre première plongée de nuit, notre équipement se limite à une petite lampe de poche étanche et le matos de plongée bien sûr. Pour la première plongée on suivra le guide, les photos ne donneront rien de nuit (vraiment dur à prendre sous l'eau) donc on vous les épargne. De nuit c'est vraiment un monde différent qui s'ouvre à nous, certains poissons dorment (si si c'est vrai !), d'autres sortent pour chasser, ils s'aident d'ailleurs de notre lampe torche pour attraper les petits poisson que l'on éclaire (les instructeurs nous donne le droit à deux meurtres par nuit), les yeux de requins brillent vert dans le faisceau de la lampe, un peu flippant quand ils passent à toute vitesse devant vous, la lumière les attirent en plus !!!
Mais de nuit comment retrouver le bateau me direz vous ? Et bien le bateau est équipé de deux gros spot qui éclaire la surface de l'eau, du coup il suffit de chercher la lumière sous l'eau et on trouve le bateau !
Bon ça c'est la théorie dans la pratique c'est autre chose, Rémi et Myriam remontent trop loin du bateau à la première plongée de nuit, mais ça leur a permis d’apprécier le ciel étoilé sur la grande barrière de corail et le silence qui l'entoure le temps de nager jusqu'au bateau.
Un autre avantage quand on passe le niveau 2 c'est qu'on est plus restreint à 18m maximum, la limite passe à 30 mètres. Nous nous lançons donc dans notre première plongée à 30m avec l'instructeur qui nous fait faire des exercices à cette profondeur et nous montre concrètement les effets de la profondeur sur notre corps.
En effet à cette profondeur nos poumons sont 6 fois plus petits du coup à chaque inspiration nous aspirons 6 fois plus d'air et donc 6 fois plus d'azote ! Du fait de ce taux d'azote inspiré on peut être sujet à une narcose à l'azote ou ivresse des profondeurs, ce qui peut avoir des conséquences dramatique si elle n'est pas repérée à temps. Concrètement à cette profondeur on se sent "planer" un peu comme si on avait bu (pas trop mal comme sensation), notre instructeur nous fait donc faire des exercices de calculs sous l'eau que nous referont en surface en calculant le temps que l'on met à chaque fois. Nous serons en effet plus rapides de quelques secondes en surface, ceci car notre temps de réaction est ralenti à cette profondeur. L'autre effet néfaste est que les bulles d'azote inspiré deviennent beaucoup plus grosse dans notre organisme lors de la remontée, ils faut donc remonter doucement pour laisser le temps à notre corps d’évacuer cette excédent d'azote. Nous gonflons des ballons à 30m de la taille d'un poing, arrivés à la surface les ballons seront de la taille d'un ballon de foot, je vous laisse imaginer les conséquences si ça se passe dans vos poumons lors d'une remontée trop rapide (un petit indice c'est vraiment pas bon...). Dernière chose qui celle ci est plutôt fun, à 30m la couleur rouge disparait pour devenir violette, le simple éclairage d'une lampe torche et la couleur rouge réapparait ! Du coup à cette profondeur les coraux et les poissons semblent un peu pus ternes qu'à la surface.
Bon on finit le cours sur la plongée profonde et vous laisse apprécier les photos de la deuxième plongée à 30m, seuls ce coup ci !
 |
| Tout est OK, on est parti ! |
 |
| Le grand bleu, tchhh... tchhh... (bruit du détendeur vous l'aurez compris c'est pas Dark Vador) |
 |
| Rencontre avec un Batfish à 30m, bien gros celui là ! |
 |
| Comparez la taille !! |
Retour à la surface, on se ré-équipe après un encas pour notre plongée suivante, moins profond celle ci, 25m maxi !
 |
| Myriam est mal barré avec une telle équipe ! |
 |
| Yellowtail Fusiliers (Fusilier à queue jaune) |
 |
| Peut être un nudibranche on ne sait pas trop... |
 |
| Même sous l'eau il fait le c*n !! |
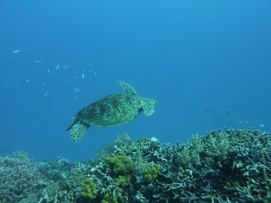
Au coin d'un pinacle de corail, on tombe nez à nez avec notre première tortue, donc seance gratouille et photos !!
 |
| Les tortues adorent les gratouilles ! |
 |
| Elle se pose à côté d'une autre plus petite ! On est comme des fous sous nos masques !! |
 |
| Jolie n'est ce pas ? |
 |
| Une tortue pour la deux !! Chaud devant ! |
 |
| Puis on les laisse un peu tranquille |
 |
| Oh et puis une dernière gratouille ça fait pas de mal ! |
 |
| Diagonal-banded sweetlips (Gaterin à bandes obliques) |
 |
| Eyestripe Surgeonfish (Poisson chirurgien à oeil rayé) |
 |
| Une autre tortue |
 |
| Unicornfish (poisson licorne) |
On change les binômes, Myriam passe avec Daphné et Rémi se met avec Jonas, un suisse rencontré sur le bateau.
 |
| Remi et Jonas |
 |
| Trouverez vous le poisson ? |
 |
| Double saddle butterflyfish (Chétodon à deux selles) |
 |
| Parrot fish (poisson perroquet |
 |
| Threadfin butterfly (poisson papillon cocher) |
 |
| 2 poissons perroquets se régalent de corail |
 |
| Moorish Idol (Idole des Maures) |
 |
| Harlequin sweetlips or Many spotted sweetlips (Gaterin arlequin) |
 |
| Une famille de Nemo ! |
 |
| Plus exactement un Barrier reef anemonefish (poisson clown de la barrière de corail) |
Voilà pour les photos, retour à Cairns après 3 jours magnifiques sur le Great Barrier Reef !!
Une super expérience, ah oui et nous avons notre carte de plongée niveau 2 !!!
L'aventure continue...
LE KIFFE !!!
RépondreSupprimer